Frazier Pasture Farm

 

 



Frazier Pasture Farm features 5 available lots on a
cul-de-sac ranging from close to
one and a half acres to almost 5 acres!

The lots at Frazier Pasture Farm are configured in a comfortable neighborhood configuration that provides both a feeling of community and yet maintains a level of privacy for your family.

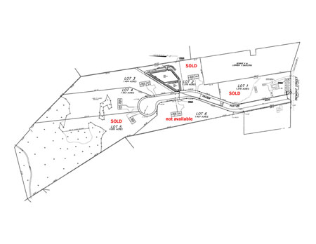
The picture below shows the layout and the sizes of the lots. You may click on the picture for a large PDF version (requires Adobe Reader to view.)

Imagine your dream home custom built for you here! These will go fast, though, so please contact us today if you may be interested.

Click to view the PDF file.

Lot Layout in PDF format Get Adobe Reader Free


Copyright ©2002 - 2007 Hawthorne Devlopment, Inc.
All rights reserved.

Web design and hosting by Gagnon Consulting, Inc.
National Associaton of Home Builders Bristol Norfolk Home Builders Association, Inc.